Die schwersten Hurrikane in den USA
Innerhalb von Sekunden sorgen sie für Verwüstung und Zerstörung. Die Kraft von Hurrikanen ist gewaltig. Wir stellen Ihnen die schwersten Hurrikane der USA vor.
Die schwersten Hurrikane in den USA
Innerhalb von Sekunden sorgen sie für Verwüstung und Zerstörung. Die Kraft von Hurrikanen ist gewaltig. Wir stellen Ihnen die schwersten Hurrikane der USA vor.
„Allen“
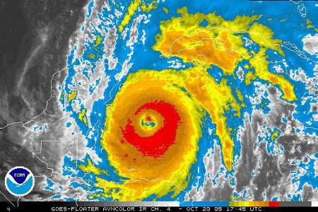
Im September 1988 traf der Wirbelsturm „Allen“ mit einer maximalen Windgeschwindigkeit von 396 km/h Haiti, Jamaika und die Südstaaten der USA. Er zählt zu den stärksten Wirbelstürmen seit Beginn der Wetteraufzeichnung. Über 290 Menschen kostete er das Leben. Der Sachschaden belief sich auf 1,5 Milliarden US-Dollar.
„Andrew“
Vier Jahre später suchte „Andrew“ die Südstaaten der USA heim und sorgte vor allem in Florida (Bild) für große Verwüstung. Der Hurrikan forderte 55 Menschenleben. Die Sachschäden lagen bei 26,5 Milliarden US-Dollar.
„Katrina“
Der verheerendste Hurrikan der US-Geschichte traf im August 2005 auf die USA. „Katrina“ erreichte Geschwindigkeiten von bis zu 280 km/h. Mehr als 1800 Menschen starben. Mit einem Sachschaden von über 100 Millionen Dollar wurde der Wirbelsturm zur teuersten Naturkatastrophe der USA aller Zeiten. (Bild: wenige Tage nach Wirbelsturm „Katrina“ in Los Angeles, USA)
„Wilma“
Im Oktober desselben Jahres erreichte Hurrikan „Wilma“ die USA. Der Wirbelsturm kostete über 60 Menschen das Leben.
Das Jahr 2005 gilt als das verheerendste der Geschichte. Insgesamt wurden 28 Stürme und 15 Hurrikane gezählt. (Bild: Aufräumaktionen nach den Hurrikanen 2005)
„Sandy“
Wirbelsturm „Sandy“ zerstörte Häuser, Straßen und Stromleitungen. Im Oktober 2012 traf der Hurrikan auf die Ostküste der USA. Der Sachschaden wurde auf 50 Milliarden US-Dollar geschätzt. Mehr als 110 Menschen verloren ihr Leben. (Bild: Gedenken an die Opfer des Wirbelsturms „Sandy“)
„Irma“
Im September 2017 zog „Irma“ von Puerto Rico über Kuba nach Florida. Der Wirbelsturm forderte über 70 Todesopfer. Der Hurrikan erreichte eine maximale Windgeschwindigkeit von 295 km/h. (Bild: Schäden nach Wirbelsturm „Irma“ in Key West, USA)
Bitte nutze unser Angebot ab sofort über mail.freenet.de – speichere die Seite als Lesezeichen für einen schnellen Zugriff.
Damit Du uns schnell wiederfindest: Speichere unsere neue Adresse doch gleich als Favorit in Deinem Browser – für den schnellen Zugriff auf Postfach und News.
Drücke dazu auf das Stern- oder Teilen-Symbol in der Adressleiste oder öffne das Browser-Menü und wähle Lesezeichen oder Seite speichern.